By Zahra Burton and Sarah Morland
Updated October 29, 2025 — 3.25pm
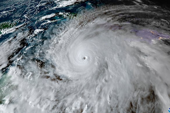
Kingston, Jamaica: Hurricane Melissa is churning toward Cuba’s second-largest city with the force of a powerful category 4 storm, hours after making landfall in neighbouring Jamaica as the strongest-ever cyclone on record to hit that Caribbean island nation.
Melissa roared ashore near Jamaica’s southwestern town of New Hope on Tuesday, packing sustained winds of up to 295 kilometres per hour, according to the United States’ National Hurricane Centre, well above the minimum 252 kilometres per hour wind speed of a category 5 storm, the highest level on the Saffir-Simpson wind scale.
A girl looks out the bus window as she is evacuated in Santiago de Cuba.Credit: AP
In south-western Jamaica, the parish of St Elizabeth was left “underwater”, an official said, with more than 500,000 residents without power.
“The reports that we have had so far would include damage to hospitals, significant damage to residential property, housing and commercial property as well, and damage to our road infrastructure,” Jamaican Prime Minister Andrew Holness said on CNN after the storm had passed.
Holness said the government had not received any confirmed storm-related fatalities but, given the strength of the hurricane and the extent of the damage, “we are expecting that there would be some loss of life”.
Melissa’s winds subsided to 233 kilometres per hour, the NHC said, as the storm drifted past the mountainous island, lashing highland communities vulnerable to landslides and flooding.
The hurricane was forecast to curve to the north-east on a trajectory toward Santiago de Cuba, Cuba’s second-most populous city.
“We should already be feeling its main influence this afternoon and evening,” Cuban President Miguel Diaz-Canel said in a message published in state newspaper Granma, calling on citizens to heed evacuation orders.
“There will be a lot of work to do. We know that this cyclone will cause significant damage.”
Cuban authorities said some 500,000 people were ordered to move to higher ground. In the Bahamas, next in Melissa’s path to the north-east, the government ordered evacuations of residents in southern portions of that archipelago.
A satellite image of Hurricane Melissa.Credit: CSU/CIRA
Farther to the east, the island shared by Haiti and the Dominican Republic has faced days of torrential downpours leading to at least four deaths, authorities there say.
Local media reported at least three deaths in Jamaica during storm preparations, and a disaster co-ordinator suffered a stroke in the onset of the storm and was rushed to hospital. Late Tuesday, many areas remained cut off.
No stranger to hurricanes, Jamaica has never before been known to take a direct hit from a category 4 or 5 storm, and the government called for foreign aid even as it prepared for Melissa’s arrival.
Meteorologists at AccuWeather said Melissa ranked as the third-most intense hurricane observed in the Caribbean after Wilma in 2005 and Gilbert in 1988 – the last major storm to make landfall in Jamaica.
“It’s a catastrophic situation,” World Meteorological Organisation tropical cyclone specialist Anne-Claire Fontan told a press briefing, warning of storm surges up to four metres high. “For Jamaica it will be the storm of the century, for sure.”
Colin Bogle, an adviser to aid group Mercy Corps in Portmore, near Jamaica’s capital of Kingston, said he had heard a loud explosion in the morning before everything went dark. Sheltering with his grandmother, he heard relentless noise and saw trees violently tossed in the wind.
“People are scared. Memories of Hurricane Gilbert run deep, and there is frustration that Jamaica continues to face the worst consequences of a climate crisis we did not cause,” he said.
Scientists warn that storms are intensifying faster with greater frequency as a result of warming ocean waters. Many Caribbean leaders have called on wealthy, heavy-polluting nations to provide reparations in the form of aid or debt relief to tropical island countries.
People evacuate before the arrival of Hurricane Melissa in Canizo, Santiago de Cuba.Credit: AP
Melissa’s size and strength ballooned as it churned over unusually tepid Caribbean waters but forecasters warned that its slow movement could prove particularly destructive.
Food aid will be critical, Bogle said, as well as tools, vehicle parts and seeds for farmers. Like last year’s devastating Hurricane Beryl, Melissa crossed over some of Jamaica’s most productive agricultural zones.
On Monday Holness said the government had an emergency budget of $US33 million ($50 million) and insurance and credit provisions for damage a little greater than Beryl.
Melissa made landfall in south-western Jamaica, near the parish border between Westmoreland and St Elizabeth, one of the areas hit hardest by Beryl.
A man walks along the coastline during the passing of Hurricane Melissa in Kingston, Jamaica.Credit: AP
St Elizabeth was submerged by flooding, local government minister Desmond McKenzie told a press briefing. Its only public hospital lost power and reported severe damage to one of its buildings.
Several families were known to have been stranded in their homes but rescue teams managed to reach one group that included four babies, McKenzie said.
In Portland Cottage, about 150 kilometres away from where Melissa made landfall, retiree Collin Henry McDonald told Reuters, as the storm advanced, that his community was seeing strong rain and winds but his concrete roof was holding steady.
“It’s like a roaring lion. It’s mad. Really mad,” he said.
Men remove a loose section of roof in Kingston, Jamaica, as Hurricane Melissa approaches.Credit: AP
About 15,000 Jamaicans were in temporary shelters by late Tuesday, McKenzie said. The government had issued mandatory evacuation orders for 28,000 people but many were reluctant to leave their homes.
The International Federation of Red Cross said up to 1.5 million people in Jamaica were expected to be directly affected by the storm.
Most Viewed in World
Loading


































