Hello and thank you for joining us as we provide live coverage of what has been described as “the storm of the century” for Jamaica.
Here’s a recap:
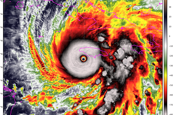
- Hurricane Melissa is on track to make a direct hit on Jamaica within hours, which will be early Wednesday AEDT.
- Described by a meteorologist as “the storm of the century”, Melissa is currently a category 5 hurricane.
- Authorities in Jamaica and Cuba have issued evacuation orders for tens of thousands of people, but many are refusing to leave.
- There have been seven deaths so far in the Caribbean: three in Jamaica, three in Haiti, and one in the Dominican Republic, where another person is also missing.
- The Jamaican government has appealed for international aid, warning that “no infrastructure in the region can withstand a Category 5 hurricane.”
- After Jamaica, Melissa is expected to move toward Cuba, bringing severe weather to Haiti, the Turks and Caicos Islands, and other parts of the Caribbean.
A man watches the coastline in Kingston, Jamaica, as Hurricane Melissa closes in.Credit: AP



























